É a mesma coisa que um furacão? Um ciclone? Entenda o que aconteceu nas Filipinas.
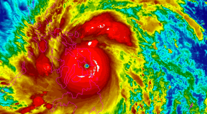
No mês passado, as Filipinas foram atingidas pelo tufão Haiyan, que matou cerca de 2.000 pessoas e é considerado a maior tempestade a atingir o país.
O desastre deixou 100 mil desabrigados e destruiu cidades inteiras. Seus ventos variaram entre 315 e 380 quilômetros por hora, o que o colocaria na categoria 5 de um furacão, a mais alta.
Mas o que é um tufão? E o que o diferencia de um furacão? E de um ciclone?
Segundo a NOAA, agência de monitoramento dos oceanos e atmosfera dos EUA, as tempestades tropicais têm diferentes nomes de acordo com o local em que ocorrem: os furacões acontecem no oceano Atlântico e no nordeste do Pacífico; os tufões, no noroeste do Pacífico e os ciclones, no sul do Pacífico e no Índico.
Ou seja, o nome depende exclusivamente da localização. Os tufões, por exemplo, costumam assolar as Filipinas, Japão, China e as Ilhas Marianas.

Mas eles são a mesma coisa? Basicamente, sim,trata-se do mesmo fenômeno metereológico. São tempestades que se formam sobre águas quentes e têm ventos acima de 119 quilômetros por hora.
Além da localização, cada um deles tem a sua “temporada”, período no qual as condições metereológicas são mais propícias para que aconteçam.
Os furacões costumam visitar o Atlântico entre junho e novembro, quase a mesma época em que os tufões assolam o noroeste do Pacífico.
Entre abril e dezembro, os ciclones aparecem no norte do oceano Índico. Mas esses fenômenos podem ocorrem em qualquer mês do ano.
Alguns lugares do mundo sofrem bastante com esses eventos extremos e as Filipinas são um país especialmente suscetível a tufões por vários motivos.
Estar na parte oeste do Pacífico o deixa exposto a várias tempestades tropicais, que se proliferam a partir da grande massa de água quente do oceano.
Como é formada por milhares de ilhas, há pouca proteção quando as tempestades chegam do mar. Todo ano, nove tempestades tropicais atingem o país. Mesmo assim, o país não estava preparado para a devastação que o Haiyan causou.
Diogo Rodriguez
Galileu










